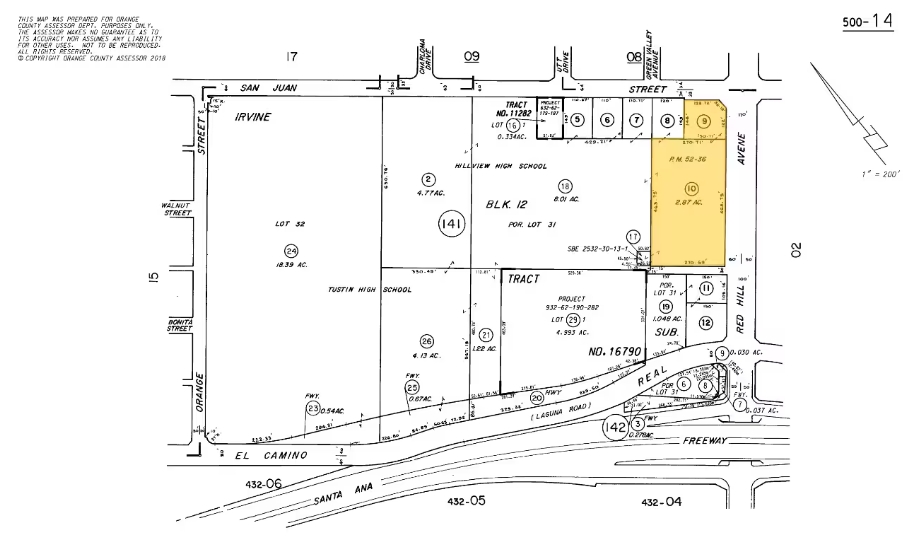
Arizona-based homebuilder Meritage Homes Corp. finalized its $18 million purchase of 3.4 acres of land in Tustin, according to CoStar data.
Tustin City Council approved a development agreement with Meritage Homes in June to develop that 3.4-acre land parcel, allowing the homebuilder to build 73 condominium units.
Meritage Homes would build the condominium units across nine buildings at 13751 and 13841 Red Hill Ave. in Tustin. Four of the units would be set aside for low-income households. All units would rise three levels and include a two-car garage. The project also calls for 18 guest parking spaces, two common open space areas and a 3,200-square-foot public amenity.
Corona del Mar-based Space Investment Partners was the seller, according to CoStar.
